| 価格 | 1,650万円 |
|---|---|
| 管理費/修繕積立金 | なし / なし |
| 土地面積/建物面積 | 186.86m²/129.17m² |
| 間取り | 4SLDK(和 8 洋 6・6・12 LDK 15 S 3) |
| 所在地 | 愛知県弥富市鎌島1丁目5番 |
|---|---|
| 交通 | 近畿日本鉄道名古屋線/近鉄弥富駅 徒歩 30分 |
| 建物構造/築年数/階数 | 木造 / 2004年12月(中古)/ 2階建 |
| 価格 |
1,650万円
|
管理費/修繕積立金 | なし / なし |
|---|---|---|---|
| 土地権利 | 所有権 | 建物構造 | 木造 |
| 敷金 / 敷引 | なし / なし | 保証金 / 償却金 | なし / なし |
| 礼金 | なし | その他費用 / その他ランニングコスト |
【その他費用】 なし 【その他ランニングコスト】 なし |
| 階数 | 2階 | 駐車場 | |
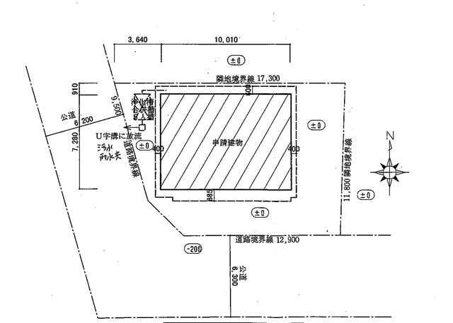
| 敷地面積 | 186.86m² | バルコニー面積 | - |
| 私道負担面積 | - | 住宅保険 | - |
| 建ぺい率/容積率 | 60% / 200% | 用途地域/都市計画 | 無指定 / 調整区域 |
| 地勢/地目 | 平坦 / 宅地 | 最適用途 | - |
| 接道状況 |
南 6.3m 公道 接面:15.3m 西 6.2m 公道 接面:12.2m |
||
| 国土法届出 | - | 建築確認 | - |
| 現況 | 空家 | 引渡し | 相談 |
| 建物状況調査 (インスペクション) |
- | 取引態様 | 一般媒介 |
| リフォーム年月 | 2020/07 | ||
| 学校名 | 大藤小学校 ※学校名はあくまで目安になります。詳細は別途ご確認ください。 |
||
| 情報登録日 | 2026/01/20 | 情報更新日 | 2026/04/10 |
| 建物設備 |
|
|---|
| 特記事項 |
|
|---|
| 備考 |
|
|---|
| 住所 | 名古屋市中区大須3ー1ー36 林太陽ビル5F A号 |
|---|---|
| 電話番号 | 052-262-7555 |
| FAX | 052-262-7556 |
| 免許番号 | 愛知県知事免許 (1) 第0025438号 |